
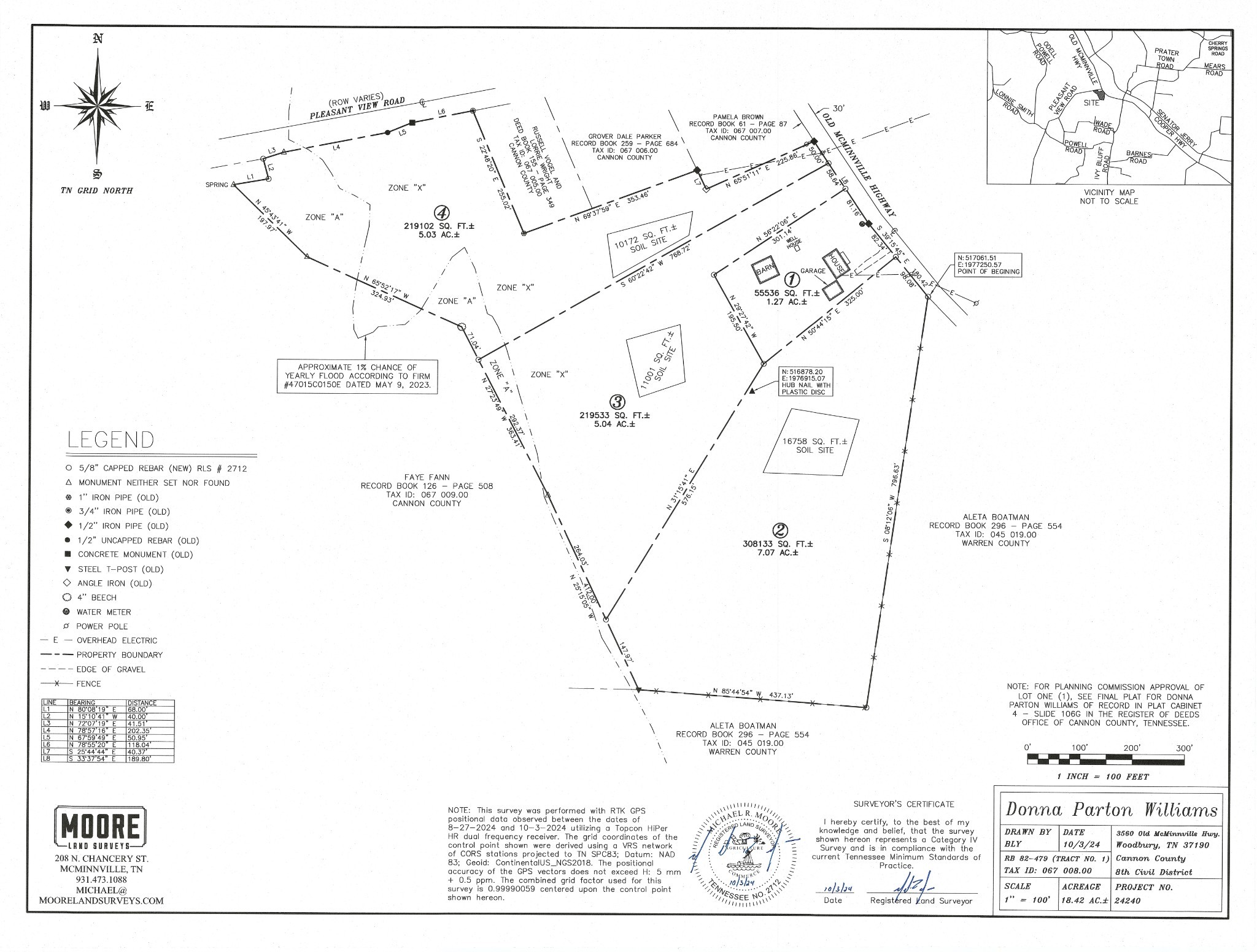
17.14 acres with road frontage on both Old McMinnville Hwy as well as Pleasant View Rd. Acreage is broken into 3 tracts - Tract 2 is 7.07 acres with a 4 bdrm perc site (MLS # 2972462), Tract 3 is 5.04 acres with a 3 bdrm perc site (MLS # 2972465) and Tract 4 is 5.03 acres with a 3 bdrm perc site (MLS # 2972467). Tracts 3 and 4 have creek access, Tract 2 does not. Tract 4 has road frontage on both Old McMinnville Hwy. and Pleasant View Rd. Tract 4 also has an old spring house and spring on it. Mostly level with both cleared and wooded landscape. Beautiful setting for your dream home surrounded by beautiful farmland. A small portion of Tracts 3 & 4 are in a flood plain down by the creek. See attached survey marking the area. Come see... you won't be disappointed. Make sure to watch the video for a better overall feel of this land.
| MLS # | 2972457 |
|---|---|
| Listing Type | For Sale |
| Sub-Type | Resale |
| Status | Active |
| Days On Site | 89 |
| Listing Provided By | simpliHOM - The Results Team | Susan Dooley |
| Zoning | Agri |
|---|---|
| Acreage | 17.14 |
| Property View | Yes |
| Heating Yes / No | No |
|---|---|
| Cooling Yes / No | No |
| Lot Features | Cleared, Level, Low, Rolling Slope, Wooded |
|---|---|
| Topography | Cleared, Level, Low, Rolling Slope, Wooded |
| View | Bluff, Water |
| Utilities | Water Available |
|---|---|
| Sewer | Septic Tank Available |
| Property | 786 |
|---|
| State | TN |
|---|---|
| County | Cannon County |
| City | Woodbury |
| Zip Code | 37190 |
| Area | Cannon County | TN |
| Community Name | 17.14 acres w/ a creek! |
| School District | Cannon County High School |
| Elementary School | Cannon South Elementary School |
| High School | Cannon County High School |
| State | TN |
|---|---|
| County | Cannon County |
| City | Woodbury |
| Zip Code | 37190 |
| Area | Cannon County | TN |
| Community Name | 17.14 acres w/ a creek! |
| School District | Cannon County High School |
| Elementary School | Cannon South Elementary School |
| High School | Cannon County High School |